Héroes de la selva: cirugía de alta complejidad con placa y tornillos, salva a una mona carayá
|
Getting your Trinity Audio player ready...
|
El pasado martes ingresó al Parque Ecológico El Puma del Ministerio de Ecología y Recursos Naturales Renovables, un ejemplar hembra de mono carayá (Alouatta caraya), luego de haber sido atropellada en inmediaciones del Parque Federal Campo San Juan.
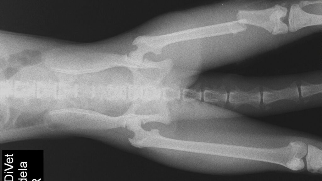
La mona ingresó con una fractura expuesta de fémur, lesión de alta complejidad en la que el hueso se quebró y perforó tejido antes de reingresar, generando un cuadro crítico. Tras su evaluación clínica inicial, el equipo profesional procedió a su estabilización con fluidoterapia y medicación específica. Una vez compensada, se programó y realizó una cirugía traumatológica en la que se colocó una placa y cuatro tornillos para reparar la fractura.

La intervención fue llevada adelante por un equipo de profesionales especializados, consolidando la capacidad técnica del Parque para abordar este tipo de emergencias en fauna silvestre. Posteriormente, el ejemplar permaneció varios días en reposo absoluto, bajo tratamiento con analgésicos y antibióticos, con controles periódicos cada 12 horas.
Actualmente, la evolución es favorable. No obstante, el proceso de consolidación ósea demandará aproximadamente dos meses antes de evaluar una eventual socialización con otro ejemplar y avanzar, a largo plazo, en un posible proyecto de liberación.

El mono carayá es Monumento Natural Provincial, lo que subraya la relevancia de su conservación y la responsabilidad compartida en su protección. Desde el Parque Ecológico El Puma -que continúa trabajando puertas adentro en tareas de rescate, recuperación y rehabilitación- se reafirma el compromiso diario de restituir a su ambiente natural a cada ejemplar que logra recuperarse.
Este caso vuelve a visibilizar una realidad persistente en la provincia: la coexistencia entre biodiversidad y rutas. En zonas cercanas a áreas naturales, como el entorno de Campo San Juan, es frecuente el cruce de fauna silvestre. La circulación atenta y responsable resulta clave para reducir el impacto sobre especies que forman parte del patrimonio natural misionero.
